Public Hearing
Notice Packages

Complete, compliant,
and ready to file.

We simplify your public notification process.
From property owner lists and radius maps to mailing service, signage, and proof packages — every step covered.

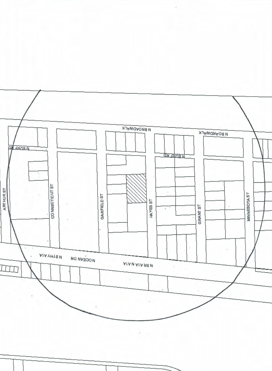
Radius map showing subject parcel, 500ft buffer, and all notified parcels
Cross-validated against multiple official data sources
2 business day turnaround
E&O insured
Packages configured per municipality

Start with what you need. Add what you want.

The base package is always included. Add-ons are optional.

Base Package

Always included

Certified property owner list, radius map with parcel buffering, and print-ready mailing labels.

Notice Letters

Add-on

Print-ready notice letter PDFs with jurisdiction-specific statutory language. One per recipient.

Mailing Service

Add-on

We print, stuff, and mail the notices. Includes postal proof of mailing, affidavit/certificate of mailing, and a complete proof package ready to file.

Signage

Add-on

Public hearing sign ordering and coordination.

What's in the Proof Package

Everything merged into a single filing-ready PDF.

  • Cover page
  • Table of contents
  • Property owner list
  • Notification radius map
  • Mailing labels
  • Notice letter copies
  • Executed affidavit / certificate of mailing
  • Postal receipts

The difference is in the details

Data pulled from official county sources. Parcel-boundary-to-parcel-boundary radius calculations. Deliverables formatted for direct agency submission.

What you typically get from other providers

Competitor notification map example

Centroid-based circle — misses edge parcels

Competitor notification map example

Upside-down labels, no legend, no color

Competitor notification map example

Cluttered icons, no clear boundary, hard to read

What you get from us

Our notification radius map with parcel-boundary buffering, legend, and scale bar
Proof package table of contents showing organized exhibits

Our output — parcel-boundary buffering, clear legend, print-ready, complete proof package

How It Works

1

You provide the basics

Project address, parcel ID, approval type, hearing date.

2

We generate your documents

Certified owner lists, radius maps, and compliance-ready documentation from verified county data.

3

We handle the rest

Mailing, signage, and proof assembly (if selected).

4

You receive your package

A complete package ready to file with the reviewing agency.

Data & Compliance Assurance

Where our data comes from and why it's reliable.

Official parcel geometry

County parcel boundaries sourced from authoritative GIS systems, not approximations.

Verified owner records

Property appraiser data cross-validated against multiple official sources, with roll date documented on every list.

Boundary-to-boundary radius

Radius measured from parcel boundary to parcel boundary, not centroid. Every affected parcel captured.

Jurisdiction-specific rules

Notice requirements researched from actual municipal codes and encoded per municipality. Not one-size-fits-all.

Auditable trail

Every order produces documented data provenance. If a list is ever challenged, we can show exactly where the data came from.

Professional liability insurance

E&O coverage for the work we produce.

Frequently Asked Questions

Project address, parcel ID (folio number), approval type, and hearing date. That's it. We handle everything else.

Yes. The base package includes the certified property owner list, radius map, and mailing labels. Notice letters, mailing service, and proof packages are all optional add-ons.

Most orders are completed within 2 business days.

Parcel geometry from official county GIS systems and owner records from county property appraisers, cross-validated against multiple sources. Every list documents the data source and query date.

Cover page, table of contents, property owner list, notification radius map, mailing labels, copy of the notice letter, executed affidavit of mailing, and postal receipts — all merged into a single PDF. Formatted for direct submission to the reviewing agency.